Elizabeth Hermione à Court RATLIFFE Elizabeth Frances À COURT REPINGTON Mini tree diagram
38 Hyde Park Gate, Kensington

38 Hyde Park Gate, Kensington

Click to select
Click to select
Click to select
Click to select

Sir Thomas Henry RATLIFFE

Dec 1882 - 14th Apr 1950

Life History

Dec 1882

Born in Northampton, Northamptonshire

between 1891 and 1901

Resident in 1 Albion Place, Northampton, Northamptonshire

10th Jan 1923

Married Elizabeth Frances À COURT REPINGTON in St. George's, Hanover Square, Westminster, London

Name: Thoma H Ratliffe to Elizabeth F A'court
Spouse Surname: A'court
Date of Registration: Jan-Feb-Mar 1923
Registration district: St George Hanover Square
Registration county (inferred): Middlesex
Volume Number: 1a
Page Number: 769

1925

Birth of daughter Elizabeth Hermione à Court RATLIFFE in Kensington, Middlesex, London

between 1926 and 1928

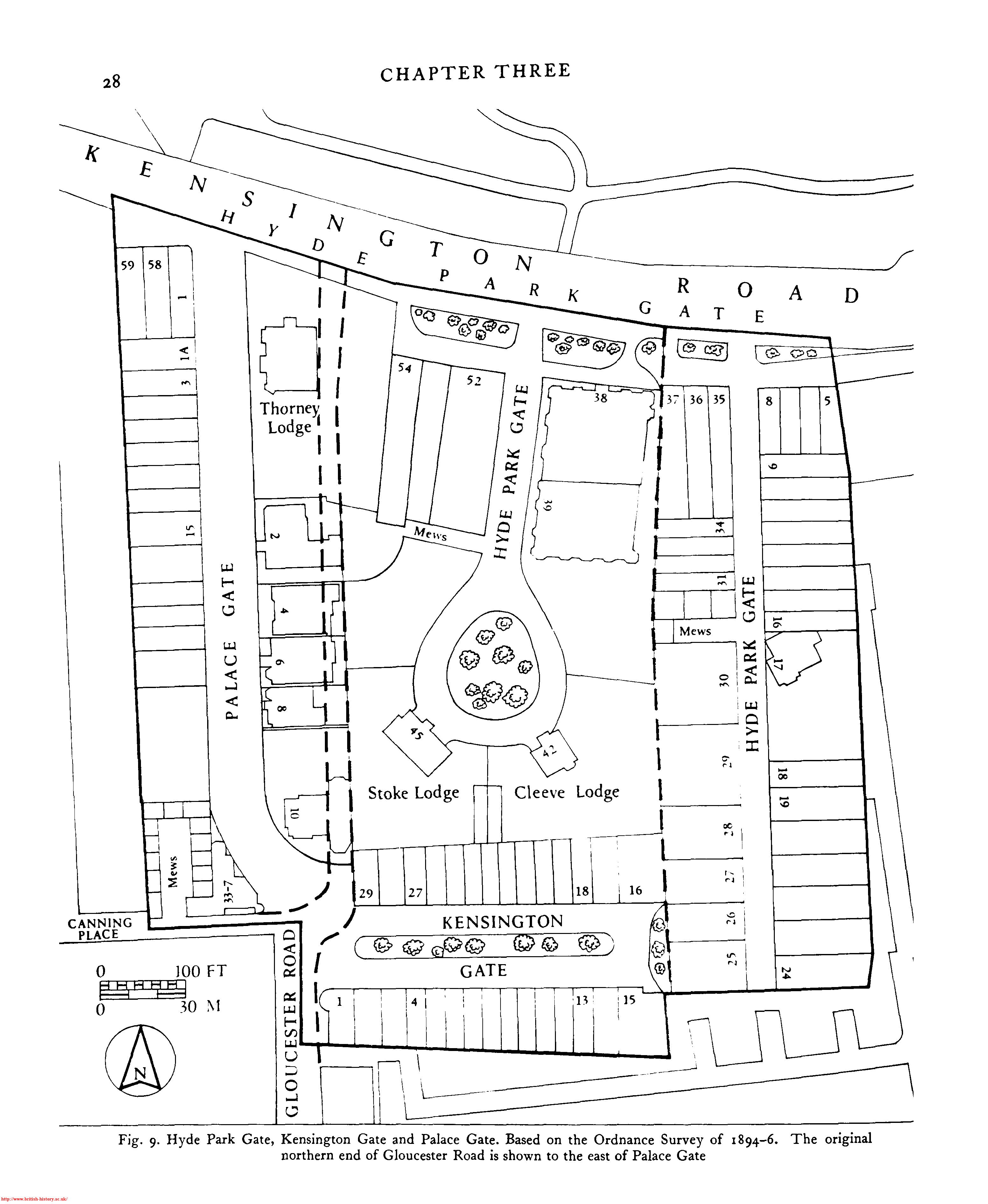
Resident in 38 Hyde Park Gate, Kensington, London (now the Royal Netherlands Embassy)

between 1929 and 1938

Resident in 15 Ilchester Place, Kensington, London

14th Apr 1950

Died in Ruthin, Denbighshire

Notes

  • Birth:
    Name: Thomas Henry Ratliffe
    Year of Registration: 1882
    Quarter of Registration: Oct-Nov-Dec
    District: Northampton (1837-1923)
    County: Northamptonshire
    Volume: 3b
    Page: 61
  • Name: Thomas H Ratliffe
    Death Registration Month/Year: 1950
    Age at death (estimated): 67
    Registration district: Ruthin
    Inferred County: Denbighshire
    Volume: 8a
    Page: 388
  • Ratliffe & Jeffery Ltd 1864-1899 - Albion Brewery, Northampton
    http://phipps-nbc.co.uk/2.html
  • http://www.british-history.ac.uk/report.aspx?compid=47515#s5

Page created using GEDmill 1.11.0